Fishaholics Forums

Members Login
Username 
 
Password 
    Remember Me  
Post Info TOPIC: Oct 12 '07, South Jetti, Humboldt


Moderator

Status: Offline
Posts: 111
Date:
Oct 12 '07, South Jetti, Humboldt


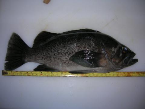
Hit the jetti at 7 and the sign said they close the gate at 8. I watched the sun set as I was driving out there and felt good about hittin it right at sunset. The conditions were nice, no wind, calm water. I walked right out to marker 29 and figured I had just enough time to work up to 32. The very first cast I had a nice hit that was on for a second, but was able to shake the lure. I snagged and broke off, retied and moved up a little. I was feeling a bunch of little hits on my Cabelas Aquaglow 6" jerk minnow but I don't know what they were. I got a good hit that stuck and I brought up a little 13 1/2 inch Black Rockfish. I cut it a kept workin that area. Not too long after, I got another good hit and I brought up another fish, most likely another Black, it was gettin dark and I couldn't see well. It shook the lure on top while I was lettin it tire out. I wasn't too upset, it wasn't very big. Another fish hit right as I was bringin my lure over some bull kelp. I didn't feel it hit and thought the weight was the kelp, but kelp doesn't shake it's head like that. I lost it too, due to a weak hook set. It got real dark, the water too, there was no moon out. 8 o'clock came up quick and I hit the road. 

Attachments
__________________
Let's fish!
http://www.jetticraft.com/
Page 1 of 1  sorted by
 
Quick Reply

Please log in to post quick replies.

Tweet this page Post to Digg Post to Del.icio.us


Create your own FREE Forum
Report Abuse
Powered by ActiveBoard